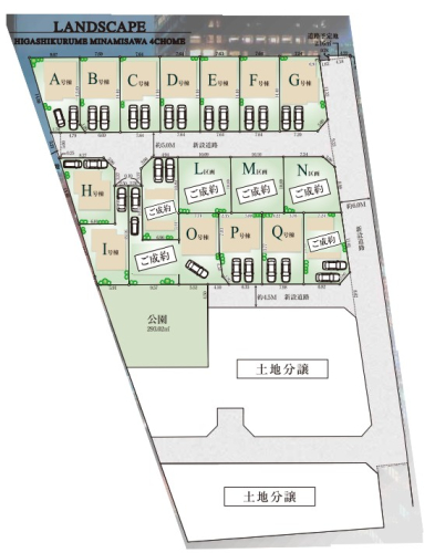
東久留米市南沢第二期 全13区画 東京都東久留米市南沢4-8|4690万円〜5190万円の新築一戸建て|株式会社すまらいふ
| 価格 | 4690万円〜5190万円 ![]() |
||||
|---|---|---|---|---|---|
| 所在地 | 東京都東久留米市南沢4-8
この地域周辺の物件を見る |
土地面積 | 110.05m² (公簿) (33.29坪)〜110.31u | 建物面積 | 86.11u |
| 築年月 | 2026年4月築 | 間取り | 4LDK〜4LDK (-) | ||
| 交通 |
西武池袋線 ひばりヶ丘 バス8分 南沢四丁目 停歩5分
|
||||

| 特徴 |
|
|---|---|
| セールスコメント | ◇第二期全13区画、お好きな間取りがきっと見つかります♪ ◇日当たり良好な区画多数ございます! |
| 採光面 | - | 構造/階数 | 木造/地上2階建 |
|---|---|---|---|
| 建ぺい率 | 40(%) | 容積率 | 80(%) |
| 駐車場 | - | 現況/引渡し | 完成/- |
| 土地権利 | - | 私道負担面積 | なし |
| 接道状況 | 接道: 東 6m 公道 接道: 南 4.5m 公道 接道: 北 4.5m 公道 |
用途地域 |
第一種低層住居専用地域
|
| セットバック | なし | 法令上の制限 | - |
| 地目 | 宅地 | 地勢 | |
| 建築確認番号 | 第HPA-25-08707-1号 | 都市計画 | 市街化区域 |
| 取引態様 | 仲介 | ||
| 情報更新日 | 2026年04月18日 | 次回更新日 | 2026年05月02日 |
| 小学校区 | 東久留米市立第五小学校 (東京都東久留米市) この学区の他の物件を見る |
中学校区 | 南中学校 (東京都東久留米市) この学区の他の物件を見る |
|---|
| 価格 | 万円 | ||
|---|---|---|---|
| 年利率 | % |
||
| ボーナス払い | 返済年数 | ||
| 頭金 | 直接入力する | 万円 | |

毎月のご返済額 |
ボーナス(×年2回) |
物件価格4690万円〜5190万円 |



















第二期販売開始!第一期お蔭様で完売となりました。
お問合せの多かった1階居室付きの4LDKございます!
気になる方はお早めのご見学をおすすめします!
敷地33坪超、南道路&日当たり良好な区画多数♪